🔸Se prevé que ingrese otro sistema frontal a Baja California.
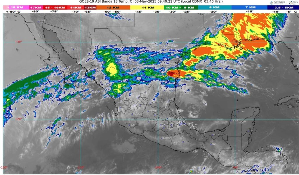
#NACIONAL🇲🇽 II Buenos días ☀️ ll El Servicio Meteorológico Nacional pronostica que para hoy, el sistema frontal número 41 que se extenderá sobre el norte y noreste del territorio nacional, interaccionará con la corriente en chorro subtropical, originando lluvias puntuales muy fuertes en Nuevo León y Tamaulipas, y puntuales fuertes en Coahuila y San Luis Potosí, todas acompañadas con descargas eléctricas y caída de granizo; así como rachas de viento fuertes a muy fuertes con tolvaneras y descenso en las temperaturas diurnas de ambas regiones.
Por otra parte, se prevé el ingreso de un nuevo frente frío (número 42) sobre el norte de la península de Baja California, el cual se asociará con la corriente en chorro polar y con una vaguada polar, que ocasionarán intervalos de chubascos en Baja California, así como rachas muy fuertes de viento en el noroeste del país, incluido el norte del golfo de California.
Por otra parte, canales de baja presión sobre el centro, oriente y sureste de México, en combinación con inestabilidad atmosférica y con el ingreso de humedad del océano Pacífico, golfo de México y mar Caribe, ocasionarán lluvias puntuales muy fuertes en Puebla y Veracruz; y puntuales fuertes en Querétaro, Hidalgo, Tlaxcala, Oaxaca y Chiapas, todas con descargas eléctricas y posible caída de granizo; además de chubascos en el Estado de México y lluvias aisladas en zonas de Michoacán, Guanajuato, Morelos, Ciudad de México, Tabasco y Quintana Roo.
Una circulación anticiclónica en niveles medios de la atmósfera mantendrá el ambiente caluroso a muy caluroso sobre el territorio mexicano, prevaleciendo la onda de calor en zonas de Jalisco (centro, suroeste y sur), Colima (noreste), Michoacán (oeste, centro y este), Guerrero (noroeste, norte y noreste), Oaxaca (centro y sur), Chiapas (sureste) y Morelos, iniciando en los estados de Querétaro (centro y sur), Puebla (norte y sur), Estado de México (suroeste), Hidalgo, Ciudad de México, Tlaxcala, Campeche, Yucatán y Quintana Roo.
Más historias
Monreal encabeza premiación de concurso infantil de dibujo en San Lázaro
Ricardo Monreal coordina agenda legislativa para el cierre del periodo en San Lázaro
‘Quishing’, la nueva modalidad de fraude con códigos QR